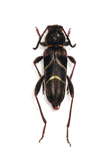
アカネトラカミキリ





ブドウの害虫として有名です.
成虫,幼虫ともに,ブドウ科の枯れ蔓にみられます




和名アへ戻る


トラカミキリ一覧へ


楽天モバイル[UNLIMITが今なら1円] ECナビでポインと Yahoo 楽天 LINEがデータ消費ゼロで月額500円〜!


無料ホームページ 無料のクレジットカード 海外格安航空券 解約手数料0円【あしたでんき】 海外旅行保険が無料! 海外ホテル